$795,000

9 Rogers Road, Brampton, ON L6X 1L7

Brampton West, Brampton,

| | | 1,100 平方英尺 |

Properties with this icon are courtesy of TRREB.

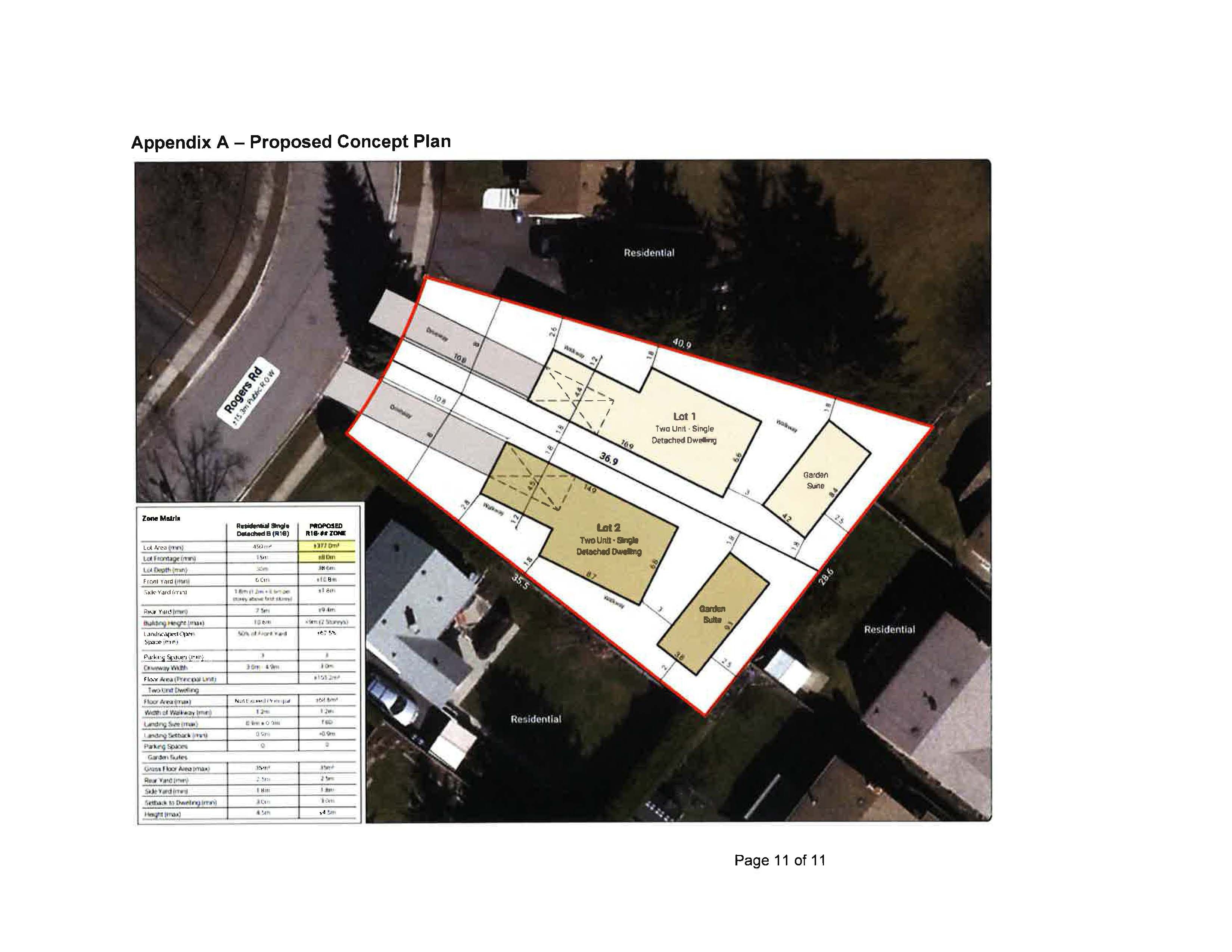
move-in ready, new paint on main floor; Large shed and separate workshop, Basement windows above grade. Sold Under Power Of Sale Therefore As Is/Where Is Without Any Warranties From The Seller. However - attention builders and contractors - this is a large lot, potential for severance (severance process started already, which has been approved with a possibility of building two homes with garden suites for additional rental income - see attached proposal for severance in one of the pictures. Or... continue using it AS IS (single family home on a large lot with big mature trees). NOTE: basement has a separate hydro meter

翻译

房屋信息
MLS®: W12836462
上盘公司 RIGHT AT HOME REALTY
卧室 3
洗手间 2
地下室 1
室内面积 700-1100 平方英尺
土地面积 5189 平方英尺
风格 Bungalow
最后更新 2026-03-02
物业属性 独立屋
挂盘价格 $795,000
单位价格 $723/平方英尺
地税额度 $4,742/年
房间信息
更多信息
外部装修
车位总数 6
供水方式 Municipal
基建 Sewer
详细描述
    位置和一般信息
  • HoldoverDays: 90
  • 建筑样式: Bungalow
  • 房屋种类: Residential Freehold
  • 房屋子类: Detached
  • DirectionFaces: South
  • GarageType: None
  • 路线: Main St. N - south of Williams Pkwy
  • 税收和 HOA 信息
  • 纳税年度: 2026
  • 停车
  • ParkingSpaces: 6
  • 停车位总数: 6
内部和外部特点
    洗手间信息
  • WashroomsType1: 1
  • WashroomsType1Level: Ground
  • WashroomsType2: 1
  • WashroomsType2Level: Basement
  • 卧室信息
  • BedroomsAboveGrade: 2
  • BedroomsBelowGrade: 1
  • 内部特点
  • 内部特点: None
  • 地下室: Finished, Separate Entrance
  • Cooling: Window Unit(s)
  • HeatSource: Gas
  • HeatType: Forced Air
  • 外部特点
  • ConstructionMaterials: Brick
  • 屋顶: Asphalt Shingle
  • 泳池特点: None
房屋
    公共服务
  • 下水道: Sewer
  • 地产及评估
  • 基建详情: Concrete
  • 地块信息
  • 地块号: 141190042
  • LotSizeUnits: Feet
  • LotDepth: 116
  • LotWidth: 44.73
  • Others
销售历史
地图与附近设施
地图
附近概况
公共交通 ({{ nearByFacilities.transits? nearByFacilities.transits.length:0 }})
购物中心 ({{ nearByFacilities.supermarkets? nearByFacilities.supermarkets.length:0 }})
医疗设施 ({{ nearByFacilities.hospitals? nearByFacilities.hospitals.length:0 }})
其他 ({{ nearByFacilities.pois? nearByFacilities.pois.length:0 }})
附近学区
学校名称 类型 Grades Catchment 距离
{{ item.school_type }} {{ item.school_grades }} {{ item.is_catchment? 'In Catchment': '' }} {{ item.distance }}
贷款计算器
$
$
$
%
%
预计付款

$

每周 双周 半月 每月

附近的类似在盘房源
附近的类似Open House房源
附近的投资推荐(降价)房源
附近的类似已成交房源
房源浏览历史记录
获取更多信息
剩余字数500